La plupart des gens aiment les framboises., il pousse tous ceux qui ont leur propre morceau de terre. La framboise pousse dans les régions du sud et du nord.
La période où la plante porte des fruits est petite - la plus grande pointe se produit en juin et juillet
Dans cet article, nous avons préparé un rapport détaillé description d'un grade de framboise "Polana" et quelques conseils pour la planter et prendre soin d'elle.
Table des matières
Caractéristiques de la variété, rendement
Polana Raspberry est une nouvelle variété.. Elle a été élevée par des éleveurs polonais en croisant deux variétés - Zeva et Heritage.
En Russie, cela s’enracine relativement bien. Les baies appartiennent à la taille moyenne à grande, le poids varie dans les 3-5 grammes. Couleur - violet.
Selon les jardiniers, le goût des baies est acide. Par temps ensoleillé, les baies sont beaucoup plus sucrées. Par conséquent, à la fin de la maturation, le goût est réduit car il n'y a pas beaucoup de jours ensoleillés.
La période de maturation commence à la fin du mois de juillet. et se termine à la mi-octobre. Dans la période de maturation, les baies sont situées le long de la brousse jusqu'au sommet.
Si l'éclairage était bon, 80% des baies auront le temps de mûrir avant l'arrivée du froid. Pour de meilleurs fruits, il est recommandé de couvrir les arbustes la nuit avec un matériau léger mais durable. Selon le climat, la période varie.

Les baies sont stockées pendant une longue période et tolèrent le transport.En conséquence de quoi, sur le marché, les baies sont toujours fraîches.
Polana a des pousses puissantes sans épines. À la base des pousses, l'épaisseur atteint 4 centimètres. La longueur atteint 1,6 à 1,8 mètres de hauteur. Malgré cela, ils supportent le poids important des baies, même sans support.
Les feuilles alternent avec le pétiole. Ils ont de 3 à 7 feuilles. La couleur des feuilles est vert foncé en haut et blanche en bas.
Le climat de croissance idéal est le mi-sud-ouest.. Bien que les framboises tolèrent facilement le froid de l'hiver, il n'est pas recommandé de les cultiver dans les régions du nord. Sols - chernozem et sableux.
Les scientifiques appellent variété de framboise pour les paresseux, car il ne nécessite pas d'entretien minutieux. La plante a une bonne résistance à l'hiver, peut supporter des températures allant jusqu'à -32 degrés.
Description des avantages et des inconvénients
Avantages de grade:
- résistance du système racinaire au gel;
- haut rendement;
- maturation rapide;
- longue période d'offrande de fruits;
- résistance des baies mûres - non arrosées de la brousse;
- facilité de transport;
- reproduction facile;
- résistance aux parasites et aux maladies.

Les inconvénients de la variété:
- pousses faibles résistance au gel;
- capacité de sécher;
- prolifération de pousses de racines.
Caractéristiques planter des framboises
Cette framboise apporte une bonne récolte, prendre soin de l'ajustement. On croit que la plante est sans prétention, mais il est toujours recommandé de suivre des règles simples pour obtenir une bonne récolte.
Le moment optimal pour planter des semis - fin de l'automne.
Polina Raspberry aime beaucoup de soleil. La création de l'ombre entraîne une diminution du rendement et du goût des baies.
Vous pouvez être intéressé par les articles suivants:
Cette variété, comme d'autres similaires, n'a pas besoin d'une sélection minutieuse du terrain, mais ce sera plus confortable pour la plante dans les sols non acides sodo-podzoliques. La fertilité des sols joue également un rôle important dans les futures récoltes.
La variété framboise Polana aime l'humidité, mais la stagnation de l’eau entraîne la mort des plantes. Par conséquent, il vaut la peine de planter des plants afin que la nappe phréatique atteigne une hauteur de 1,5 mètre.
Aussi protéger le site d'atterrissage des vents violents. En choisissant des plants, assurez-vous que les racines ne sont pas endommagées et séchées.
Pour rafraîchir les racines, placez le plant de framboise pendant deux heures dans un récipient avec de l’eau. Lors du transport, il est recommandé d'envelopper les racines de la plante dans un tissu.
Règles et étapes
Étapes générales de la plantation des plants:
- Creusez des tranchées d’une profondeur et d’une largeur de 50 centimètres. La longueur provient du nombre de plantules. Il est calculé sur la base du fait que la distance entre les plantes est de 0,8 à 1 mètre l'une de l'autre.
- Remplissez un tiers du puits avec de l'engrais mélangé à une couche de sol fertile.
- Les racines du semis se redressent doucement et se placent au milieu du trou. Avant ces racines doivent être placées dans une solution d'argile.
- Remplissez les puits de terre, laissez le collet de racines à 3-5 centimètres au-dessus du sol.
- Les semis plantés versent de l'eau, labourent le sol et recouvrent de paillis. Pour le paillis, prenez de la tourbe ou du compost.

Les plants de framboises sont plantés soit dans les fosses, soit dans les tranchées. Tranchée:
- nettoyer le sol du sol et des débris;
- placez le film entre les rangées;
- insérez les piquets sur lesquels vous voulez tirer la corde;
- mettre de l'engrais au fond de la tranchée;
- planter des plants dans une tranchée à un mètre les uns des autres;
- couvrir la terre et verser un peu d'eau.
Planter des plants de framboises dans la fosse:
- creuser des trous d'une profondeur et d'un diamètre de 35 centimètres;
- mélanger l'engrais avec le sol et s'endormir dans les fosses;
- faire une clôture à la frontière framboise;
- examiner attentivement les plants et éliminer les dégâts;
- planter des plants à une distance de 0,8 à 1 mètre;
- arrosez abondamment les plantules;
- broyer le sol.
Polana aime les terres calcaires. S'il n'y a pas assez de chaux dans le sol, un chaulage artificiel est requis 3 à 4 fois par an.
Les secrets du soin des buissons
Pendant toute la saison de croissance il est nécessaire d'humidifier le sol, mais pas d'inonder les plantes. En cas de sécheresse, il est nécessaire d'arroser les framboises une fois tous les deux jours, en tenant compte de 2 ou 3 seaux d'eau par arbuste.
En automne, il est recommandé de nourrir les plantes. fumier ou compost. Sur un framboisier nécessite un seau.
Pendant la saison de croissance, les framboises sont nourries molène fraîche ou déjections d'oiseaux. Dans les premiers jours de l'été, il est recommandé de pailler le sol pour lui donner du mou.
Après la récolte, il est nécessaire de couper complètement les arbustes. Pour que la framboise ne perde pas ses propriétés, il est recommandé ne laissez pas les pousses au-dessus du sol pas plus de 8 centimètres.

Après une telle taille des framboises plus facile de déplacer le froid de l'hiver. Chaque année en avril, il est nécessaire de couper les arbustes gelés et séchés.
En hiver, vous ne pouvez pas couvrir les plantes - une couverture de neige naturelle suffira.
Couper les buissons ont besoin de l'apparition du premier gel. Si vous le faites plus tôt, les plantes ne recevront pas les nutriments nécessaires aux racines.
Framboise Reproduction:
- pousses vertes - le moyen le plus populaire;
- boutures de racines - Il est utilisé lorsqu'il n'y a pas assez de pousses vertes. Il est considéré comme le plus efficace.
- les graines - de cette manière, elle se reproduit naturellement dans la nature. Cette technique ne s’applique pas dans les jardins.
Maladies et parasites de la polany
Cette variété de framboise distingué par la résistance aux maladies et aux ravageurs. Mais il y a plusieurs maladies à craindre.
Botrytis ou pourriture grise
C'est une maladie fongique.qui se caractérise par l'apparition de taches noires sur les feuilles et les baies. Au cours de la maladie, les baies commencent à pourrir et se recouvrent d'un canon gris, ce qui entraîne la mort des framboises.
Pour que la maladie ne fasse pas mal, il est nécessaire de traiter les plantules. Au printemps pour pulvériser la solution Bordeaux liquide.
Aussi besoin de traiter après la récolte. Si la maladie progresse et après le traitement, vous devrez détruire tous les plants.
Nanisme ou croissance
Les gens ont appelé cette maladie "balai de sorcière". Les agents responsables sont des insectes porteurs de divers virus. La maladie se manifeste par de petites pousses qui ne produisent pas de cultures.
Pour vaincre la maladieIl est recommandé de détruire le foyer de la maladie - déraciner et brûler les semis affectés.
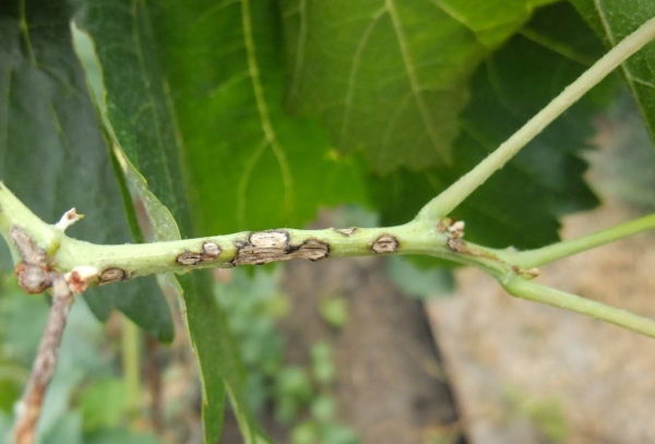
Anthracnose
L'agent causal de cette maladie est considéré comme un champignon. Cette maladie est considérée comme commune et la plus dangereuse. Les plants affectés ne portent plus de fruits. Des taches grises atteignant 3 millimètres recouvrent les feuilles de la plante.
Pour vaincre la maladie, il est nécessaire de se débarrasser des agents responsables de la maladie - baies, feuilles et pousses. Au printemps, il est recommandé de pulvériser de l'oxychlorure de cuivre.

La première fois que vous souhaitez pulvériser avec la germination des boutons, la deuxième fois après la floraison et la troisième fois deux semaines après la deuxième pulvérisation.
Tous ceux qui sont propriétaires de la polany framboise, ne peut pas se vanter de la haute qualité de la récolte. Cette variété sera une excellente option pour la vente de fruits et pour un usage personnel.
Une parcelle de Polana peut porter jusqu'à deux cents kilogrammes de fruits au cours de la première année de culture.