Kalimagneziya (Kalimag) is a soluble mineral fertilizer with several nutrients. It is made from natural minerals. Kalimagneziya and kalimag are different substances, but the differences between them are insignificant; they do not matter to the farmer. The drug is produced by various companies; retail sale most often packaging of 1 kg and 3 kg. Instructions for the use of this fertilizer are presented below.
Table of contents
Composition and purpose
Externally, the mass looks like powder or granules (or their mixture) of a gray or grayish-brick shade. Contains two basic components - potassium sulfate and magnesium sulfate. These substances, dissolving well in water or moist soil, become sources of available potassium, magnesium and sulfur. Sometimes there is an admixture of a small amount of chlorine - but not more than 1%, which allows to consider this fertilizer as non-chlorine.

Kalimag is used for dry application to the ground, as well as for liquid root and foliar dressings. The beneficial effect of the drug is most fully manifested in the growth phase of tubers and root crops, fruit ripening.
The effect is especially noticeable in lands such as:
- light sandy and sandy sand (feed need multiple, phased);
- raw peat;
- sod-podzolic (especially sour, light and medium texture);
- poor loam.
Mechanism of action
Potassium magnesia is especially valuable in that its components complement each other.
Potassium
- responsible for the absorption of water;
- relieves temperature stress;
- forms tubers and ovaries;
- improves the taste, color, safety of the crop;
- increases winter hardiness.

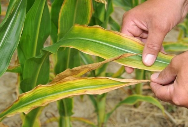
When potassium starvation plants become sluggish, growth of ovaries and tubers is inhibited. The foliage (especially the lower one) turns yellow or turns brown between the veins and is covered with dark spots. The fruits of cucumbers are thinning at the base (take the shape of a pear).
Magnesium
- is part of chlorophyll, regulates photosynthesis;
- helps to absorb phosphorus;
- in fruits and tubers increases the amount of carbohydrates (sugars, starch), vitamin C.

Deficiency of this element leads to the destruction of chlorophyll. The veins of the leaves remain bright green, but the rest of the leaf space turns yellow or orangish, then turns red or brown. Break off the lower leaves, delayed the overall development. Fruits do not accumulate sweets, and tubers - starch.
Sulfur
- helps to synthesize chlorophyll;
- develops the root system (especially in plants of the legume family);
- it is a component of tissues and vegetable oils (in the cruciferous family, as well as onions and garlic).
The lack of sulfur is manifested in the blanching and shallowing of the sheet plates, inhibition of root growth.

Root and foliar nutrition of potash-magnesium fertilizer prevents deterioration of nutrition, especially in light soils and sensitive crops.
Plants that are responsive to making calmagnezia
Fertilizer is especially rich in potassium and is ideal for those crops that need it (and at the same time do not tolerate chlorine). A solid amount of magnesium and assimilable sulfur make Kalimag attractive to many plants.
Feeding will be delighted:
- grapes;
- potatoes;
- cucumbers; zucchini; melons and gourds;
- tomatoes, peppers, eggplants;
- beans, beans, peas;
- sunflower;
- sugar beet;
- cabbage, radish, daikon, radish, turnip, rutabaga, turnip;
- onions, garlic;
- carrots, beets, celery root;
- strawberry, raspberry, black currant, cherry, apple;
- hvoyniki;
- roses;
- ornamental crops with an abundance of foliage;
- grazing grass;
- buckwheat.

Advantages and disadvantages
Like many other fertilizers, Kalimag requires strict adherence to dosages. We must not forget that it is a chemical.
Minuses:
- In comparison with potassium sulphate and potassium chloride, in it less potassium mass fraction.
- Compared with magnesium sulphate, it contains less magnesium and sulfur.
- Ineffective on chernozem and sierozem (magnesium sulphate is more useful here).
- It is impossible apply on solonetz (increases salinization).
- Washed out quickly on light and damp lands.
- Toxic for plants with excessive application (darkening and diminishing foliage).

Pros:
- Contains a 3-component complex of substances supplementing each other's action - this is an advantage over more simple ones: Chloride and Potassium Sulphate, Magnesium Sulphate, Dolomite flour, Potash-lime mixture.
- No toxic for many chlorine plants (unlike potassium chloride).
- Good dissolves.
- Not slyozhivatsya when stored.
- Suitable for different types of dressingsin any month of the season.
- Fast and full absorbed by plants.
- Is suitable for many cultures.
This fertilizer complex has no significant drawbacks. Subject to the recommendations shows high efficiency.
General rules for feeding with Kalimag
Fertilizer is useful in the garden and the garden throughout the season.

- Autumn or spring pouring under plowing, Digging: 3-4 kg per hundred.
- Brought dry (and loosened) in the spring in the root zone of trees and bushes: 35 g per 1 square. meter. At the end of August - a similar procedure for strawberries and conifers.
- For fruit and berry crops: spraying during the period of growth of the ovaries (20 g per 10 l of water).
- Potatoes (for starchiness and porosity): 1 teaspoon per well when planting. Before hilling sprinkle 200 g per 10 square meters. meters; or sprinkle during budding, water at the beginning of the growth of tubers (20 g per 10 l of water).
- Watering or spraying root vegetables, onions, garlic - In the initial stage of thickening the underground part: 25 g per bucket of water.
- Tomatoes, cucumbers, other vegetables: 2-3 root and foliar fertilizing during the growing season (20 g per bucket of water).
- Ornamental plants: spraying before flowering and watering at the end of summer: 25 g per bucket of water.
Instructions for use for grapes
For grapes, the sugar content of berries is especially important. Kalimag is one of the most effective means for sugar accumulation. With a shortage of food, the grapes are drying out. In addition, this fertilizer increases the winter resistance of the grape bush.

- In July or August (at the time of active increase in the size of the ovary) a liquid root feeding is given: 1 tbsp. spoon on 10 liters. water - on 1 bush. A solution of a similar concentration can also be carried out by 2-3 spraying.
- In the autumn 20 g is introduced into the root zone of each bush (loosen dry and water).
Mixing rules
Kalimag is not recommended to combine with urea, stimulants and pesticides.
First aid for poisoning
Belonging to the III class of danger suggests that a substance can only become dangerous if it is used for other than its intended purpose. May cause poisoning if swallowed.In this case, vomiting can not be called; You need to drink 2-3 glasses of water with crushed tablets of activated charcoal (10-15 pieces), seek medical help.
Shelf life and storage conditions

Warranty period of storage - 5 years after production. However, the chemical is stable, and the real shelf life is not limited.
The drug does not impose special requirements on storage conditions: does not burn, does not explode, is not compressed, does not absorb moisture from the air. It should only be protected from water: it dissolves easily.
Kalimagneziya is an affordable, easy-to-use means for increasing yields. This is one of the best products that improve the presentation and nutritional value of the crop.