الذرة ، مثل أي محصول نباتي ، تتطلب الاهتمام وتستجيب للرعاية. جعل الأسمدة والضمادات اللازمة في الوقت المناسب يزيد بشكل كبير من العائد ، ويحسن جودة المنتج.
من المهم ملاحظة النقص في المواد الضرورية في التربة والتفاعل معها. أيضا ، المزارعين في كثير من الأحيان محاولة لإطعام الذرة بعد البذر واستخدامها لهذا الغرض بعض microfertilizers ، العلاجات الشعبية ، saltpeter. كل الوسائل لتخصيب الحاجة لجعل وفقا للوائح.
جدول المحتويات
الحاجة لتغذية الذرة
بالإضافة إلى إدخال جرعات صدمة من الأسمدة الأساسية في زراعة الأراضي الخفيفة أو "المتعبة" ، مطلوب التسميد.
الخضروات دائما يشير إليها ورقة اللون والحجم والكمية ونوعية النورات وكوز. في الوقت الذي يقضي تضميد تصحيح الوضع.

أنواع الضمادات ومعدلات الاستخدام للنمو الجيد والمحصول
هناك أنواع عديدة من المواد المضافة ، كل منها يؤدي دورًا محددًا. ليس من الضروري الانتظار حتى يدخل الخضروات إلى مرحلة الصيام.
مناطق سهوب الأرض السوداء غالبا ما تعاني من نقص العناصر الفوسفورية والنيتروجين. إن إدخال الأسمدة المخطط لها قبل الزراعة لا يتعامل مع المهمة الرئيسية ، حيث يتم غسل الملابس من هذا النوع بسرعة أو تفقد قوتها في الصيف ، عندما تلتقط الذرة اللون ، وتبدأ في تشكيل الأذن.
الغابات السهوب ، المزيد من المناطق الشمالية تحتاج الأسمدة المعدنية المعقدة. كما تنتج التغذية كما تم العثور على نقص.
من الضروري استخدام هذا أو ذاك السماد في أوقات مختلفة من السنة، لأن مدة عملهم مختلفة ، كما هو الحال في فترة تقسيم العناصر إلى مواد قابلة للهضم من أجل الذرة.
عضوي
الخضار يستجيب بسهولة إلى مقدمة السماد والتربة السوداء في التربة الرملية والرملية. تساهم المواد العضوية في السقوط ، ولكن في الربيع ، قبل الزراعة ، لن يكون لزومًا إزالة التربة السوداء في ثقوب الزراعة.

الروث الطازج يستحق باستخدام فقط في شكل mulleinسكب في الماء في برميل ، والذين تتراوح أعمارهم بين 3 إلى 5 أيام.
10 كجم يحتاج السماد الطازج إلى ملء 50 لترًا من الماء. بعد 5 أيام ، تمييع 1 - 2 ليتر من الموليفين الحالي لكل 10 لترات من الماء. جلب مباشرة تحت الجذر بعد سقي حذرا. في بداية تشكيل السويقة.
يمكن العثور على نقص المواد العضوية على ميزات مثل:
- جذر خفيف ونحيف من الجراثيم.
- تصبح التربة حول الجذع قشرة بعد أن تجف التربة.
الأسمدة المعدنية

ينبغي على المزارعين الذين يقومون بحساب كمية المواد الضرورية بشكل مستقل مراعاة أنه عند الجمع بين المواد المعدنية والمواد العضوية ، التمسك بنسبة 2 إلى 1. كلما قمت بإضافة مركبات عضوية ، كلما قل المعدن الذي تحتاجه.
نتروجين
في الربيع - أساسا استخدام الأسمدة ، يتم دفن 50 ٪ من الكمية الإجمالية في التربة ، ويتم تغذية 50 ٪ المتبقية مع أعلى الملابس ، حيث يتم امتصاص النيتروجين بسرعة من التربة.
يتم أول تغذية عند تشكيل أول 5 أوراقوالثاني - في وقت تشكيل السويقة.
يتم التعرف بسهولة على عدم وجود النيتروجين بواسطة حالة ولون الأوراق. رقيقة ، على عكس أوراق النباتات والألوان الصحية ، وتحولت إلى مصفر ، يقولون عن النقص. عند الكشف الأول عن مثل هذه التغييرات ، يجب عليك اتخاذ إجراء فوري. يظهر نفسه جيدًا للتخفيض السريع للنيتروجين في مياه الأمونيا في التربة.

المزارعين والفلاحين ذوي الخبرة على الفور بعد نهاية المزهرة ، بمعالجة المصنع 30 ٪ كل 10 أيام حل اليوريا. هذه الحيلة تزيد العائد بنسبة 15-30 ٪.
البوتاس والفوسفور
وغالبا ما يتم جلب هذه العناصر معا.
- بسبب وجود الفوسفور ، يتم امتصاص البوتاسيوم بسهولة أكبر من قبل المصنع.
- بمساعدة هذه العناصر ، يكتسب النبات الكتلة اللازمة ، ويتحمل البرد بسهولة أكبر ؛
- هناك حاجة البوتاسيوم للتوزيع السليم في المياه النباتية;
- الفوسفور يستجيب للحصول على تعليم عالي الجودة من الحبوب والأوراق في الوقت المناسب;
- استخدام هذه المكونات يقلل من حدوث rzoy.
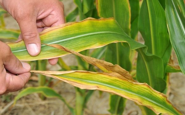
إذا النبات ليس ما يكفي من البوتاسيوم، يمكن أن يفهم من خلال علامات مثل:
- تبدأ حواف الأوراق في الحصول على شكل متموج ؛
- تتحول الورقة إلى اللون الأخضر الداكن ؛
- تظهر بقع الضوء على أطراف الورقة ، التي تتحول في النهاية إلى اللون البني.
الفسفور المجاعة يمكن رؤيته في المراحل المبكرة ، وغالباً ما يكون النبات الصغير خاضعًا له:
- على برعم صغير الأوراق الخضراء أيضا.
- نمو النبات بطيء
- تبدأ حواف الأوراق السفلية من الداخل في الحصول على لون أرجواني.

خلال موسم النمو ، في مرحلة 6-7 أوراق ، يتم إدراج ما يلي في الممر:
- Superphosphate بمعدل 3 كجم / هكتار ؛
- أسمدة البوتاس - 0.5 كجم / هكتار.
ورقة تضميد أعلى مع الكرباميد
هذه هي الطريقة الأسرع والأكثر نوعية لنقل النتروجين إلى المصنع. وهو مناسب عندما يكون النبات لا يزال لم يكن لديك الوقت لتجربة الجوع النيتروجين. يحسن اليوريا من نفاذية عناصر الأسمدة من خلال ورقة. يتم استخدامه بسهولة كموصل لتطبيق الضمادات الأعلى من أنواع مختلفة ، وتطبيق مبيدات الآفات.
أعلى ورقة تضميد الانفاق على النباتات الصحية. في درجة حرارة لا تزيد عن 20 درجة ، في طقس هادئ.
في معظم الأحيان ، يتم استخدام محلول اليوريا جنبا إلى جنب مع الكبريت والمغنيسيوم ، والتي يتم امتصاصها بسهولة من قبل النبات من خلال الأوراق.
يجب أن يكون حل العلاج بحد أقصى 5 - 6 ٪ ، وإلا يمكنك حرق الأوراق. ولكن في نفس الوقت ، يجب أن يكون معدل تدفق المحلول 250 لتر / هكتار على الأقل.

مزايا وعيوب الأسمدة والعلاجات الشعبية
وتشمل المزايا الشروط التالية:
- مع استخدام الأسمدة ، يتلقى المصنع جميع العناصر النزرة الضرورية ، والتي لا تكفي في التربة الخفيفة.
- مصنع أقل مريض;
- المصنع أقل عرضة للآفات.
- زيادة الغلة;
- يتم تقليل خطر "تجويع" الأرض للسنة القادمة.
يمكن أن تعزى عيوب فقط إلى التعامل غير السليم من الضمادات:
- في السباق للحصول على العائد أرض الشبع الأسمدة الاصطناعية لفترة طويلة يحرم من خصوبتها;
- يمكن أن يسبب شبع المنتجات مع العناصر الدقيقة الحساسية والأعراض المزمنة لدى البشر.
إن الاستخدام السليم للأسمدة ، سواء خلال الخريف أو الربيع أو الضمادات الورقية ، سوف يجلب حصادًا صحيًا ومتجانسًا. إذا لم تكن متأكدًا من الحاجة إلى إنشاء عنصر أو عنصر آخر ، فعليك التأكد من ذلك واستخدامه فقط بعد ذلك.